Řada minulých let patřila k těm nejteplejším za dobu, co se provádí měření. Série výjimečných teplot pokračovala i v roce 2025, který bude podle zprávy Světové meteorologické organizace (WMO) o stavu globálního klimatu druhým nebo třetím nejteplejším rokem v historii.
Posledních jedenáct let, od roku 2015 do roku 2025, bude jednotlivě patřit mezi jedenáct nejteplejších let v 176leté historii pozorování, přičemž poslední tři roky budou třemi nejteplejšími roky v historii, oznámila WMO. Průměrná teplota v blízkosti povrchu v lednu až srpnu 2025 byla o 1,42 stupně vyšší než průměr v období před masivním spalováním fosilních paliv, konstatuje zpráva.
Uvádí i řadu dalších faktů o planetárním klimatu během letoška. Koncentrace skleníkových plynů zadržujících teplo a obsah tepla v oceánech, které v roce 2024 dosáhly rekordních úrovní, také v roce 2025 pokračovaly v růstu. Rozloha arktického mořského ledu po zimním zamrznutí byla vůbec nejnižší v historii a také rozloha antarktického mořského ledu byla po celý rok výrazně pod průměrem. Dlouhodobý trend zvyšování hladiny moře pokračoval i přes malé a dočasné výkyvy způsobené přirozenými faktory, uvádí vědci.
Dopady cítí většina planety
Extrémní jevy související s počasím a klimatem – od ničivých dešťů a povodní po brutální vedra a lesní požáry – měly kaskádový dopad na životy, ekonomiky i potravinové systémy. To přispělo k vysídlení obyvatel v mnoha regionech, což poškodilo udržitelný rozvoj i ekonomický růst.
„Tato bezprecedentní série vysokých teplot v kombinaci s loňským rekordním nárůstem úrovně skleníkových plynů jasně ukazuje, že v příštích několika letech bude prakticky nemožné omezit globální oteplování na 1,5 stupně Celsia, aniž by došlo k dočasnému překročení tohoto cíle. Věda však stejně jasně ukazuje, že je stále zcela možné a nezbytné snížit to zpět na 1,5 stupně Celsia do konce století,“ uvedla generální tajemnice WMO Celeste Saulová.
„Každý rok s teplotami nad 1,5 stupně bude mít devastující dopad na ekonomiky, prohloubí nerovnosti a způsobí nevratné škody. Musíme jednat hned, rychle a v širokém měřítku, aby překročení bylo co nejmenší, co nejkratší a co nejbezpečnější – a aby se teploty do konce století vrátily pod 1,5 stupně Celsia,“ uvedl generální tajemník OSN António Guterres, který ve svém prohlášení na klimatickém summitu v brazilském Belému zprávu WMO citoval.
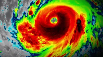
Typický projev: hurikán Melissa
Na to, jak konkrétně se projevila změna klimatu na konkrétní meteorologické katastrofě, popsala tento týden takzvaná atribuční studie organizace World Weather Attribution. Podle ní lidmi působená změna klimatu zvýšila rychlost větru a množství srážek hurikánu Melissa.
Obor, který se anglicky jmenuje Climate Attribution a česky se někdy označuje jako „přisuzování vlivu klimatu“, se zabývá zkoumáním toho, do jaké míry za konkrétní jev nebo událost může změna klimatu způsobená člověkem.
Vědci například sledují extrémní počasí – vlny veder, sucha, povodně či hurikány – a snaží se zjistit, jestli a jak moc se pravděpodobnost nebo intenzita takové události zvýšila kvůli globálnímu oteplování.
Prakticky se to dělá pomocí klimatických modelů a statistiky. Vědci si představí dva „světy“ – jeden s dnešními emisemi a oteplováním a druhý, kde by člověk neovlivňoval atmosféru. Pak porovnávají, jak často by se v každém z těchto světů vyskytla sledovaná událost. Pokud je například vlna veder desetkrát častější v „našem“ světě, pak se dá říct, že změna klimatu významně zvýšila její pravděpodobnost.
Climate Attribution tak pomáhá lépe chápat rizika, informovat veřejnost i politiky a ukázat, že dopady klimatické změny jsou patrné už dnes a nejsou tedy jen věcí vzdálené budoucnosti.
Studie konstatovala, že atmosférické a oceánské podmínky vedoucí k tak silným bouřím jsou kvůli změně klimatu asi šestkrát pravděpodobnější. Podle modelu IRIS, který odhaduje vliv klimatických změn na tropické cyklóny, klimatické změny zvýšily maximální rychlost větru o sedm procent a extrémní srážky o šestnáct procent.
Historická pozorování ukazují, že maximální srážky za pět dní na Jamajce a východní Kubě jsou nyní o dvacet až padesát procent vyšší než v předindustriální době. Přesnější odhad vlivu klimatických změn na tento nárůst nebylo možné touto metodou získat, protože klimatické modely mají potíže zachytit extrémní srážky v této oblasti, která je historicky málo prozkoumaná.
Proč zpráva vznikla
WMO zveřejnila tuto zprávu o stavu globálního klimatu 2025 pro summit na konferenci OSN o změně klimatu COP30 v Belému. Jedná se o vědecky podložený dokument, který má podpořit jednání COP autoritativními důkazy. Zpráva zdůrazňuje klíčové klimatické ukazatele a jejich význam pro podporu tvorby politik a slouží jako most k podrobnějším, ale méně častým vědeckým zprávám.
Zpráva také poskytuje přehled o tom, jak WMO podporuje rozhodovací orgány pomocí informací o počasí a klimatu. Od roku 2015 se počet zemí, které hlásí systémy včasného varování před více riziky (MHEWS), více než zdvojnásobil – z 56 na 119 v roce 2024.











