Hurikán Melissa, který se tento týden přehnal přes Karibik, si vyžádal nejméně 49 životů. Jamajská vláda zatím informovala nejméně o devatenácti mrtvých. Dalších třicet obětí, včetně deseti dětí, evidují na Haiti, kde se pohřešuje dvacet osob. Informovala o tom agentura AFP, podle níž už do postižených zemí začaly posílat pomoc Spojené státy či Spojené království. Nad ránem byl hurikán Melissa, který postupně slábne, západně od souostroví Bermudy, které by ale zasáhnout neměl.
Hlavní jamajské město Kingston bylo podle agentury Reuters „ušetřeno nejhorších škod“. Znovu se otevřelo tamní hlavní letiště, podle webu Euronews tam však provoz komplikuje množství předtím zrušených letů a související zpoždění. Na letiště také míří lety s humanitární pomocí.
Úřady uvedly, že po celé zemi zablokovaly více než 130 silnic popadané stromy, trosky budov a dráty elektrického vedení. Jamajská armáda odklízí suť napadanou na komunikace, aby se záchranné složky dostaly do izolovaných oblastí.
Pátrací a záchranné práce pokračují
Podle zdrojů Reuters se v západní části ostrova lidé „tísnili“ u supermarketů a čerpacích stanic, aby si nakoupili zásoby. „V Montego Bay není žádný benzin. Většina čerpacích stanic je mimo provoz,“ uvedla pro Reuters britská turistka Chevelle Fitzgeraldová.
Podle jamajské ministryně školství a informací Dany Morrisové Dixonové pokračují tamní úřady v pátracích a záchranných pracích. V důsledku bouře byly odpojeny od elektřiny stovky tisíc lidí, vítr strhnul z několika budov střechy, ulice pokryly trosky. Při záchranných operacích asistuje také jamajská armáda.
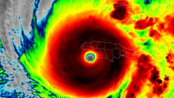
Melissa zasáhla jihozápadní Jamajku v úterý jako silný hurikán kategorie 5. Jde o vůbec nejsilnější bouři, která zasáhla pobřeží tohoto karibského státu. Zhruba sedmdesát procent odběratelů elektřiny na Jamajce bylo ve čtvrtek ráno bez proudu.
Situace na Haiti
Celkově si hurikán vyžádal už 49 životů. Živel způsobil rozsáhlé škody v severní části Karibiku, zesílil při postupu kolem Bermud v severním Atlantiku.
Haiti hurikán nezasáhl přímo, ale přinesl tam silné deště a záplavy, které stály život nejméně třicet lidí, většinou na jihozápadě. Dalších dvacet osob se pohřešuje. Země se přitom už několik let potýká s hlubokou ekonomickou i politickou krizí a násilnostmi gangů, které ovládají i většinu hlavního města a které vyhnaly z domovů více než 1,3 milionu z téměř dvanácti milionů obyvatel.
Nejhorší je stav v haitském městě Petiti-Goave na jihu země, kde se rozvodnila řeka. Déšť tam poškodil také silnice, domy a zemědělskou půdu.
Podle prognóz, na něž se odkazuje agentura Reuters, dosáhnou škody a ekonomické ztráty v západní části Karibiku zhruba 48 až 52 miliard dolarů.
Kuba hlásí velké škody
Melissa zasáhla také východní část Kuby, kde bylo evakuováno asi 735 tisíc lidí. Tamní úřady ovšem do čtvrtka neinformovaly o žádných obětech na životech, navzdory tomu země hlásí rozsáhlé škody na budovách i zemědělské úrodě. Obyvatelé z potenciálně rizikových regionů byli přesunuti do vnitrozemských oblastí.
Americký ministr zahraničí Marco Rubio uvedl, že USA jsou připraveny nabídnout „okamžitou humanitární pomoc“ obyvatelům Kuby. Podle informací z médií zůstalo po středečním úderu Melissy v provincii Santiago izolováno nejméně 241 kubánských obcí, což postihlo až 140 tisíc obyvatel.
Do svých domovů se však už vrací obyvatelé druhého největšího města Santiago de Cuba.
Ve čtvrtek večer pak síla Melissy výrazně zeslábla, dle meteorologů je nyní bouří kategorie 2 s maximální rychlostí větru 161 kilometrů za hodinu. Americké Národní hurikánové centrum uvedlo, že se Melissa kolem čtvrté hodiny ráno pohybovala v okolí Bermud.
Podle předpovědí měl hurikán oblast Bermud minout, i tak ale tamní úřady uzavřely několik příjezdových cest. Kvůli bezpečnostním důvodům tam zůstanou také zavřené školy a na moře nevyplují trajekty.
Pomalu se zklidňuje také situace na Bahamách, které Melissa zasáhla ve středu. Úřady tam už zrušily varování před bouří, až sobotu se však rozhodne o případném návratu evakuovaných obyvatel zpět do jejich domovů.







