TÉMA

Honduras strana 2 z 3

Meteorologové letos čekají v Atlantiku silnou hurikánovou sezonu, bude ale slabší než vloni

Meteorologové letos očekávají v Atlantiku klidnější sezonu bouří a hurikánů než v loňském roce. Přesto by letošek měl být v dlouhodobém srovnání nadprůměrný, uvedla agentura AP s odkazem na americké centrum NOAA. V Atlantském oceánu trvá sezona hurikánů zpravidla od června do konce listopadu.
21. 5. 2021|

Biden stanovil cíl 200 milionů dávek vakcín za prvních 100 dnů ve funkci. Růst počtu migrantů považuje za sezonní

Americký prezident Joe Biden ve čtvrtek na své první tiskové konferenci v úřadu řekl, že stanovuje nový cíl: aplikovat 200 milionů dávek vakcín proti covidu-19 ve Spojených státech během prvních 100 dnů ve funkci. Zároveň odmítl kritiku, že jeho politika způsobuje nárůst migrantů přicházejících na americko-mexickou hranici. Prohlásil, že nárůst je sezonní a stalo se to i za jeho předchůdce, prezidenta Donalda Trumpa. Biden zmínil, že chce v roce 2024 usilovat o znovuzvolení.
25. 3. 2021Aktualizováno25. 3. 2021|

Spojené státy se potýkají s velkou migrační vlnou. Běženci vsadili na politiku Bidena

Spojené státy očekávají na svých jižních hranicích největší migrační vlnu za posledních dvacet let. Upozornilo na to americké ministerstvo vnitřní bezpečnosti. Jen v únoru se do země pokusilo dostat přes sto tisíc nelegálních běženců. Vsadili na novou migrační politiku amerického prezidenta Joea Bidena.
20. 3. 2021|

Mezinárodní federace novinářů: Počet reportérů zabitých při práci loni stoupl na 65

Loni přišlo při výkonu svého povolání násilnou smrtí o život 65 novinářů nebo pracovníků médií v šestnácti různých zemích. To je o 17 zabitých žurnalistů více než v roce 2019, přičemž loňská statistika je zhruba na úrovni 90. let minulého století, uvedla při zveřejnění své každoroční zprávy Mezinárodní federace novinářů (IFJ).
12. 3. 2021|

Do USA míří karavana migrantů z Hondurasu. Z domovů je vyhnaly hurikány

Spojené státy čelí další vlně migrace, k jejich hranicím se skrze Mexiko blíží karavana migrantů, která opustila Honduras kvůli hurikánům. Snížení počtu nelegálních přistěhovalců v USA bylo dříve plánem amerického prezidenta Donalda Trumpa. Podle mexického ministra zahraničí Marcela Ebrarda by se ale s novou nastupující administrativou mohla míra přistěhovalců naopak zvýšit.
17. 12. 2020|

Latinskou Ameriku Biden dobře zná, vztahy ale budou složité

Joe Biden se po vítězství ve volbách chystá na výkon prezidentské funkce. Jedním z dominantních domácích témat bude imigrace ze Střední Ameriky. Tento region zná Biden velmi dobře, jako viceprezident ho opakovaně navštěvoval. Už tenkrát byly hlavním důvodem především zástupy migrantů mířících za lepším životem v USA. Zásadní obrat v diplomacii proto lze očekávat právě ve vztahu ke středoamerickým státům. Ve zlepšení vztahů s Washingtonem doufá řada zemí Latinské Ameriky, ne všude ale Bidenovu výhru vítají.
27. 11. 2020|
Doporučujeme

Dynamické změny v severním Atlantiku ovlivní brzy počasí v Česku

Počasí v Česku bylo doposud velmi klidné – v dalších dnech se to ale díky situaci nad Atlantikem změní. Vytvoří se tam totiž několik hlubokých tlakových níží a ty mohou i významnějším způsobem ovlivnit evropskou cirkulaci.
18. 11. 2020Aktualizováno22. 11. 2020|

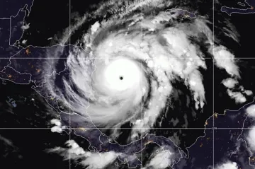
Ve Střední Americe sčítají škody po hurikánu Jóta. Vyžádal si nejméně třicet obětí

Více než tři desítky mrtvých si vyžádal ve Střední Americe hurikán Jóta, který postupně slábl, až nad Salvadorem zcela zanikl. V Nikaragui, Hondurasu a dalších zemích napáchal živel rozsáhlé materiální škody, informovala agentura AFP. Oblast navíc dál sužují vydatné deště. Jóta byla rekordní třicátou pojmenovanou bouří letošní atlantické hurikánové sezony.
19. 11. 2020|

Hurikán Jóta hýbal s domy, poryvy větru dosahovaly až 250 kilometrů v hodině

Pátého, a tedy nejvyššího stupně dosáhl hurikán Jóta, který od pondělí prochází uzemím Střední Ameriky. Mezi nejvíce postižené země se řadí Nikaragua, Honduras a Kolumbie. Ve chvíli, kdy hurikán udeřil na pevninu, byl provázen větrem o rychlosti až 250 kilometrů v hodině. Síla poryvu byla tak výrazná, že neměl problém posouvat a bourat celé domy. Přírodní živel si vyžádal několik lidských životů. V současné době již síla větru zeslábla na tropickou bouři a míří směrem k území Guatemaly. Jóta je hned druhým hurikánem, který oblast postihl během dvou týdnů. Jeho předchůdce hurikán Éta zpustošil značnou část stejného regionu a vyžádal si nejméně 150 obětí.
18. 11. 2020|

Hurikán Jóta zesílil na pátý stupeň, míří ke Střední Americe

Hurikán Jóta, který má v pondělí večer místního času dorazit nad pobřeží Hondurasu a Nikaraguy, zesílil na pátý, tedy nejvyšší stupeň. Doprovází ho setrvalý vítr o rychlosti 260 kilometrů za hodinu, informovala agentura AP s odvoláním na americké Národní středisko pro hurikány (NHC).
16. 11. 2020|

Bouře Eta sílí a řádí na Kubě, v Mexiku zabila nejméně dvacet lidí

Bouře Eta nad Karibským mořem podle očekávání meteorologů zesílila a dorazila ke břehům Kuby. Uvedlo to americké Národní středisko pro hurikány (NHC). Zatím poslední zemí, kterou zasáhla, bylo Mexiko, kde zemřely minimálně dvě desítky lidí. Po Kubě by měla zasáhnout i jih Floridy. V Guatemale po sesuvech půdy způsobenými vytrvalým lijákem pokračují záchranné práce.
8. 11. 2020Aktualizováno8. 11. 2020|

„Můj dům zaplnila voda během deseti minut.“ Bouře Eta si v Guatemale vyžádala už přibližně 150 obětí

Kvůli ničivé bouři Eta a sesuvům půdy v Guatemale zahynulo nebo se pohřešuje 150 lidí, uvedl podle agentury AFP prezident země Alejandro Giammattei. Mluvčí guatemalské armády Ruben Tellez dříve agentuře Reuters sdělil, že sesuvy půdy způsobené přívalovými dešti v odlehlé vesnici v guatemalském regionu Alta Verapaz pohltily na 150 domů a mnoho lidí zahynulo pod troskami.
6. 11. 2020Aktualizováno6. 11. 2020|

Ve Střední Americe dál řádí bouře Eta. Vyžádala si nejméně pět životů

Tropická bouře Eta, která v úterý udeřila jako hurikán čtvrté kategorie na pobřeží Nikaraguy, se za doprovodu vydatných lijáků pomalu sune nad Hondurasem. O víkendu má zasáhnout Kubu, na začátku příštího týdne jih Spojených států. Jedna z nejsilnějších bouří, jaké Střední Amerika v posledních letech zaznamenala, si vyžádala pět životů a na moři uvěznila desítky rybářů.
5. 11. 2020|

Hurikán Eta zabíjel ve Střední Americe, ze čtvrtého stupně pak zeslábl na druhý

Nejméně tři lidé zemřeli v důsledku hurikánu Eta, který v úterý zasáhl Střední Ameriku. Oběti si vyžádal v Nikaragui a Hondurasu, kde rovněž způsobil značné škody. V noci zeslábl na druhý stupeň z pěti, ale stále ho provází silný vítr i vydatné deště, informovala agentura Europa Press.
4. 11. 2020|

Sacharovovu cenu dostala běloruská demokratická opozice

Evropský parlament udělil Sacharovovu cenu za svobodu myšlení běloruské demokratické opozici. Oznámil to předseda zákonodárného sboru David Sassoli, podle něhož europarlament podporuje její boj za demokracii a svobodné volby. Poslanci také vyjádřili obdiv vytrvalosti, s níž oponenti režimu prezidenta Alexandra Lukašenka čelí násilnému potlačování protestů po srpnových zmanipulovaných volbách. Opoziční vůdkyně Svjatlana Cichanouská uvedla, že cena patří běloruskému lidu.
22. 10. 2020Aktualizováno22. 10. 2020|

Počty nových případů COVID-19 ve většině zemí klesají. Uzdravený Johnson promluvil k Britům

V celém světě se nový koronavirus, který se začal šířit koncem loňského roku z Číny, potvrdil podle Univerzity Johnse Hopkinse (JHU) u 2,97 milionu lidí. Z toho téměř 207 tisíc nakažených zemřelo (více než polovina v Evropě) a téměř 870 tisíc lidí se uzdravilo. Ve velké části zemí jsou víkendové přírůstky nejnižší od března.
27. 4. 2020Aktualizováno27. 4. 2020|

Smartwings a ČSA snižují mzdy, mají na zemi devadesát procent flotily

Letecká skupina Smartwings Group, do které patří značky Smartwings i ČSA, má v současné době odstaveno 90 procent své flotily. Společnost proto jedná se zaměstnanci o zkrácení platů, velké propouštění však nechystá. Provoz skupiny se nyní omezil pouze na lety za účelem přepravy zdravotnického materiálu a repatriaci Čechů ze zahraničí. Další tyto spoje poletí o víkendu, uvedla mluvčí Vladimíra Dufková. Provoz omezily téměř všechny světové aerolinky, některé i propouštějí.
3. 4. 2020Aktualizováno3. 4. 2020|

Archeologové objevili v Mexiku přes tisíc let starý mayský palác

Archeologové objevili na východě Mexika pozůstatky více než tisíc let starého mayského paláce. Na 55 metrů dlouhou a 15 metrů širokou stavbu narazili badatelé na nalezišti Kulubá, jež leží asi sto kilometrů západně od známého letoviska Cancún na poloostrově Yucatán, informovala agentura Reuters.
28. 12. 2019|
Komentář

Dluhy-Smith: Když svět demonstruje, může to naznačovat civilizační krizi

Od finanční krize v roce 2008 trvají prakticky nepřetržitě různě po světě protesty. Letos demonstrovali lidé v Chile, Hondurasu, Libanonu, Iráku či Indii. Plně však nerozumíme nepokojům v zemích jako Francie či Velká Británie, píše ve svém komentáři Radovan Dluhy-Smith z katedry rozvojových a environmentálních studií Univerzity Palackého v Olomouci.
11. 12. 2019|

Průmysl v září sice vzrostl meziročně o 4,9 %, podle analytiků ale spíše stagnuje. Nad vodou ho drží auta

Průmyslová výroba v září vzrostla meziročně o 4,9 procenta po srpnovém poklesu o 3,8 %. K růstu přispěla především výroba aut a elektrických zařízení.  Také za přebytkem zahraničního obchodu stojí především vývoz aut – ten meziročně stoupl v září o 14,4 miliardy na 25,1 miliardy korun.  A k růstu se vrátila i stavební výroba – meziročně o  2,9 procenta, uvedl Český statistický úřad (ČSÚ). Po očištění o počet pracovních dní ale byla průmyslová produkce meziročně nižší o 0,6 % a podle analytiků tuzemský průmysl vlastně stagnuje pod vlivem poklesu v Německu.
6. 11. 2019Aktualizováno6. 11. 2019|

Riskují zdraví i životy. Navzdory tomu cestují „vlakem smrti“ do USA desetitisíce migrantů

Zejména chudší migranti ze střední Ameriky volí pro cestu do Spojených států variantu, kterou jen málo z nich ve zdraví dokončí. Mnozí během ní přijdou o život. Jde o takzvaný „vlak smrti“ či „bestii“– nákladní soupravu, která putuje z Mexika do USA. Právě na střechách jeho vagónů se snaží přejet hranici desetitisíce lidí.
24. 9. 2019|

Trumpův triumf. Nejvyšší soud povolil výstavbu hraniční zdi u Mexika z peněz Pentagonu

Americká vláda může využít dvě a půl miliardy dolarů z financí ministerstva obrany na výstavbu zdi podél hranice s Mexikem. Nejvyšší soud tak zvrátil verdikt soudu nižší instance, který to Washingtonu zakázal. Verdikt je vítězstvím pro prezidenta Donalda Trumpa, který výstavbu zdi slíbil už před volbami v roce 2016. Letos v únoru po nezdaru jednání s Kongresem kvůli tomu vyhlásil stav nouze.
27. 7. 2019Aktualizováno27. 7. 2019|

Trump podepsal dohodu s Guatemalou. Slibuje si od ní snížení migrace

Spojené státy podepsaly migrační dohodu s Guatemalou, která tak získala status takzvané třetí bezpečné země. Všichni migranti, kteří touto středoamerickou zemí na cestě do USA projdou, budou muset požádat o azyl právě zde. Pokud tak neučiní a vstoupí na území USA, nebudou mít na azyl právo a americké azylové úřady je budou moci vracet. Opatření se dotkne hlavně uprchlíků ze Salvadoru a Hondurasu.
26. 7. 2019|

Trump udeřil na Mexiko. Hodlá zvyšovat cla tak dlouho, než sousední stát zastaví příliv migrantů

Podle amerického prezidenta Donalda Trumpa uvalí Spojené státy od 10. června na veškeré zboží z Mexika pětiprocentní clo. Šéf Bílého domu tak chce sousední stát přimět k tomu, aby zastavil příliv migrantů do Spojených států. Pokud Mexiko podnikne konkrétní opatření, hodlá Trump cla zrušit. V opačném případě se mají každý měsíc zvýšit o pět procentních bodů. Mexický prezident v reakci vybídl k jednáním, do USA posílá ministra zahraničí.
31. 5. 2019Aktualizováno31. 5. 2019|
Načítání...