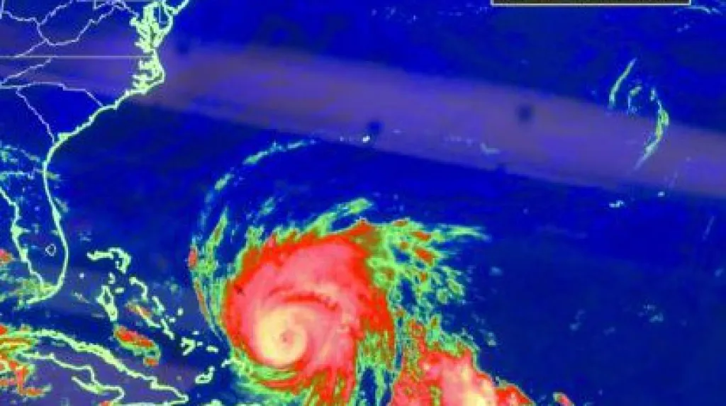
Miami - Hurikán Earl opět zesílil. Změnil se z hurikánu třetí kategorie na hurikán čtvrté kategorie na pětistupňové Saffirově-Simpsonově škále, sdělilo v noci na dnešek americké Národní středisko pro hurikány (NHC). Stále se doufá, že živel nezasáhne pevninu plnou silou, ale jeho ničivé průvodní vichry se brzy očekávají na východoamerickém pobřeží řady států. V Severní Karolíně byla nařízena evakuace 30 000 obyvatel a návštěvníků.
V Severní Karolíně a ve Virginii byla již před zesílením hurikánu vyhlášena mimořádná pohotovost a nařízeny první evakuace. Nyní byly vyzvány k maximální ostražitosti také pobřežní oblasti států Maryland, Delaware, New Jersey, Connecticut a Massachusetts. Nelze prý vyloučit, že hurikán postihne o víkendu i město New York.
NHC již ve středu varovalo, že Earl způsobí od dnešní noci na východním pobřeží Spojených států ničivé vlnobití, v první řadě v Severní Karolíně. Hurikán, který provázejí vichry o rychlosti kolem 215 kilometrů v hodině, již před svým novým zesílením vyvolával v oceánu vlny vysoké více než 15 metrů. Úřady varovaly, že některé níže položené pobřežní oblasti mohou být tvrdě zasaženy vlnobitím, lijáky a vichry způsobujícími „katastrofické škody“.
Východ USA podobný hurikán nezažil téměř dvě desetiletí
U východoamerického pobřeží nebyla zaznamenána tak silná bouře od hurikánu Bob v roce 1991, poznamenal mluvčí NHC Dennis Feltgen. Dopad hurikánu Earl pro americkou pevninu bude záviset na tom, kdy přesně se živel začne stáčet na severovýchod, tedy nad Atlantik, jak se očekává.
Earl je druhým silným hurikánem letošní atlantické sezony. Za silný hurikán označují meteorologové bouři třetí a vyšší kategorie Saffirovy-Simpsonovy škály, kterou provází vítr o rychlosti nejméně 180 kilometrů v hodině. Letošní předpovědi NHC uváděly, že v hurikánové sezoně, která nad Atlantským oceánem trvá od června do listopadu, vznikne sedm silných hurikánů.
Podél pobřeží se připravují na evakuaci
V Severní Karolíně byla nařízena evakuace některých přímořských míst a ostatní obyvatelé pobřeží byli vyzváni k přípravě na možnou evakuaci. Lidé mají nyní hlavně zůstat doma a čekat na další informace podle vývoje situace, uvedla mluvčí záchranářů Julia Jaremová. Z pobřeží a přilehlých ostrovů začali po varování úřadů před blížícím se hurikánem Earl odjíždět do vnitrozemí i turisté.





