TÉMA

Tokio strana 5 z 5

Akcie rostly na všech trzích, pomohla jim dohoda o podpoře americké ekonomiky

Akcie ve středu většinou opět posilovaly, podpořila je dohoda politiků ve Spojených státech ohledně stimulačních opatření, která mají zmírnit hospodářské dopady koronaviru. Například hlavní index tokijské burzy Nikkei 225 zpevnil o 8,04 procenta a obchodování zakončil na 19 546,63 bodu. Zaznamenal tak nejprudší procentní nárůst od října 2008. Rostly evropské trhy, na vzestupu byly také americké akciové indexy, které však ke konci obchodování zisky zmenšovaly.
25. 3. 2020Aktualizováno25. 3. 2020|

Terorismus chemickou zbraní. Před 25 lety sekta Óm šinrikjó zaútočila v tokijském metru

Skupina radikálů náboženské sekty Óm šinrikjó (Učení Nejvyšší pravdy Óm) vypustila 20. března roku 1995 jedovatý plyn sarin v metru v japonském Tokiu. Při tomto teroristickém činu zahynulo třináct lidí a u dalších několika tisíc se projevily různé vážné problémy. Pachatelé útoku byli popraveni v roce 2018.
20. 3. 2020|

Japonský soud poslal na smrt vraha z ústavu pro duševně choré. Zabil 19 lidí

V Japonsku odsoudili k trestu smrti muže, který v roce 2016 pozabíjel 19 duševně postižených lidí. Bývalý zaměstnanec ústavu vtrhl do budovy s nožem a útočil na handicapované. Poté se šel udat na policejní stanici. Ještě před svým činem žádal v dopise politiky o povolení k likvidaci postižených. Jednalo se o nejhorší masovou vraždu v poválečné historii země.
16. 3. 2020Aktualizováno16. 3. 2020|

Divoký den na trzích. Kvůli kolapsu ceny ropy se přechodně zastavila newyorská akciová burza

Největší kolaps cen ropy od roku 1991 zahájil jeden z nejdivočejších dnů na globálních trzích. Panický výprodej, telefonáty s výzvou na dodání peněz, pokud člověk obchoduje na úvěr, mizející likvidita a práce z domova kvůli koronaviru byly jen některé problémy, s nimiž se obchodníci s cennými papíry v pondělí potýkali. Museli také přemýšlet, jak válka kolem cen ropy a rychle se šířící nákaza ovlivní globální ekonomiku, firmy a geopolitiku, píše agentura Bloomberg. Americké akcie zažily nejvyšší denní propad od finanční krize v roce 2008.
9. 3. 2020Aktualizováno9. 3. 2020|

Počet obětí koronaviru stoupl za jediný den o sedm desítek. Čína dokončila nemocnici ve Wu-chanu

Čína ve městě Wu-chan dokončila výstavbu druhé nové nemocnice s 1500 lůžky, která poslouží pacientům infikovaným novým typem koronaviru. Počet nakažených v zemi stoupl na víc než 28 tisíc, mrtvých je 563. Japonské ministerstvo zdravotnictví oznámilo, že počet nakažených na výletní lodi Diamond Princess, která v pondělí večer zakotvila v přístavu Jokohama v Tokijském zálivu, se zvýšil z deseti na dvacet. Třináctý případ hlásí Německo.
6. 2. 2020Aktualizováno6. 2. 2020|

Čína hlásí přes šest tisíc nakažených koronavirem, první případ oznámilo Finsko

Čínská média uvedla, že se počet nakažených novým koronavirem v zemi zvýšil na 6078 osob, mrtvých je 132. První potvrzený případ oznámilo Finsko. Letecké společnosti British Airways a Lufthansa se kvůli šíření koronaviru rozhodly zrušit veškeré spoje s pevninskou Čínou. Z Wu-chanu, epicentra nákazy, byly evakuovány první skupiny japonských a amerických občanů. Úřady mezitím oznámily, že roste počet nemocných v Pekingu a riziko nákazy se zde zvyšuje.
29. 1. 2020Aktualizováno29. 1. 2020|

Wuchanský koronavirus jako první předpověděla umělá inteligence. Předběhla WHO o víc než týden

Světová zdravotnická organizace (WHO) upozornila veřejnost na vypuknutí epidemie wuchanského koronaviru 9. ledna. Americké Centrum pro prevenci a kontrolu nemocí (CDC) bylo o něco rychlejší – s varováním přišlo už 6. ledna. Všechny experty ale v tomto případě překonala kanadská umělá inteligence, která varování vyslala už 31. prosince.
27. 1. 2020|

Neznámý virus se objevil už i v Thajsku a Japonsku. Čína hlásí dva mrtvé

Neznámý a potenciálně nebezpečný virus, který zaznamenaly úřady v Číně, se už objevil i v Thajsku a Japonsku. Peking hlásí dva případy úmrtí a čtyři desítky nemocných, všichni pocházejí z města Wu-chan. Ohledně nemoci vyvolávající dosud nepopsaný typ zápalu plic už vydala varování i Světová zdravotnická organizace. I když je virus zatím pod kontrolou, mohl by se podle ní rozšířit i do dalších oblastí.
17. 1. 2020Aktualizováno17. 1. 2020|

Nissan a Renault popírají informace, že chtějí ukončit spolupráci

Francouzská automobilka Renault a její japonský partner Nissan Motor popírají, že jejich alianci hrozí rozpad, informovala agentura Reuters. Zprávy o blížícím se ukončení aliance, do které patří i japonská automobilka Mitsubishi Motors, se objevily v některých médiích. Akcie firem na to zareagovaly propadem na několikaletá minima. Od konce roku 2018, kdy byl v Japonsku zadržen hlavní šéf aliance Carlos Ghosn, akcie odepsaly už asi 40 procent.
14. 1. 2020|

S útěkem z Japonska pomohl Ghosnovi zaměstnanec firmy, která pronajímá letadla

Bývalý předseda správní rady japonské automobilky Nissan Motor Carlos Ghosn mohl uprchnout z Japonska i díky jednomu zaměstnanci turecké firmy MNG Jet, jež pronajímá letadla. Firma v pátek uvedla, že její letadla byla využita protiprávně a že už v této věci podala trestní oznámení. Její zaměstnanec se mezitím přiznal, že dokumenty o pronájmu letadel zfalšoval tak, aby se v nich jméno bývalého šéfa Nissanu neobjevilo, uvedla agentura Reuters.
3. 1. 2020|

Česko vstoupilo do nového roku, ohňostroje rozzářily i světové metropole

Svět přivítal rok 2020. Jako první oslavili jeho příchod lidé na Tichomořských ostrovech Samoa, Tonga a Kiribati. Poté odbila půlnoc na Novém Zélandu; tradiční ohňostroj tam odpálili z 328 metrů vysoké budovy Sky Tower v Aucklandu. Nový rok pak postupně přivítali lidé v Sydney, Tokiu, na Korejském poloostrově, v Pekingu a Hongkongu. Následně se pak oslavy nového letopočtu přelily do Evropy a ve středu ráno našeho času také na americký  kontinent.
31. 12. 2019Aktualizováno1. 1. 2020|

Nejen v Česku. Rybova vánoční mše se stává tradicí i v Tokiu

Od prvního provedení zlidovělé mše „Hej mistře!“ v kostele ve Starém Rožmitále letos uplyne 223 let. Česká mše vánoční Jakuba Jana Ryby od té doby zní po celém světě. Pronikla i do Japonska, kde bude už počtvrté ozdobou tamních katolických Vánoc. Oba koncerty v tokijském kostele svatého Jana Evangelisty jsou vyprodané.
22. 12. 2019|

Japonci mají plán, jak rozehřát zamrzlou ekonomiku. Napumpují do ní 2,8 bilionu korun

Japonská vláda podpoří ekonomiku balíkem opatření v hodnotě zhruba 13 bilionů jenů (2,8 bilionu korun). Podle listu Financial Times jde o první japonský balík rozpočtových stimulů od roku 2016. Japonsko je třetí největší ekonomikou světa za Spojenými státy a Čínou.
5. 12. 2019|

Květina olympiády. V Tokiu se otevřela výstava věnovaná Věře Čáslavské

V Českém centru v Tokiu začala výstava věnovaná jedné z nejvýraznějších československých sportovkyň Věře Čáslavské. Slavná gymnastka se do povědomí Japonců dostala v roce 1964, kdy zazářila na tokijské olympiádě. Expozice připomíná život a sportovní úspěchy Čáslavské, ale také její působení v porevoluční politice či v oblasti česko-japonských vztahů.
2. 12. 2019|

Kolona padesáti aut a desítky tisíc policistů v ulicích. V Japonsku se konal průvod k uvedení nového císaře

Nový japonský císař Naruhito se svou chotí císařovnou Masako v automobilu s odkrytou střechou absolvoval slavnostní průvod u příležitosti svého uvedení na trůn. Kolonu padesáti vozů, v nichž kromě císaře byli například korunní princ a císařův mladší bratr Fumihito či premiér Šinzó Abe, sledovaly na 4,6 kilometru dlouhé trase desítky tisíc lidí.
10. 11. 2019|

Vodíková loď už třikrát obeplula planetu. Je zcela ekologická a netvoří žádné emise

Vodíkové plavidlo Energy Observer během letoška absolvovalo sedm měsíců plavby s šestnácti zastávkami v jedenácti zemích a překonáním více než 7,5 tisíce námořních mil. Podle výrobce představuje první loď na světě, která neprodukuje žádné skleníkové plyny ani emise jemných částic, a příští rok ji čeká už čtvrtá cesta kolem světa. V jejím rámci zamíří mimo jiné do Japonska.
10. 11. 2019|

Finišujeme, hlásí z Tokia pořadatelé letních olympijských her

Necelý rok před letními olympijskými hrami jsou pořadatelé v Tokiu téměř připraveni, s Mezinárodním olympijským výborem už dolaďují jen poslední detaily. Největší starosti jim zatím dělá počasí. Kvůli očekávanému dusnu a vedru totiž město přišlo o olympijský maraton i chodecké závody.
2. 11. 2019|
1989

Módní kolekce ze sametu, Plastici v Paříži, Čáslavská v Tokiu. Česká centra po světě připomenou 17. listopad

Výročí sametové revoluce si připomenou i Česká centra v zahraničí. Na listopad se na třech kontinentech chystají desítky akcí na téma „svoboda“ a „osobnost Václava Havla“. V Bruselu představí módní kolekci ze sametu, v Miláně odhalí lavičku Václava Havla, v Paříži zahrají The Plastic People of the Universe. České televizi to potvrdila mluvčí Českých center Petra Jungwirthová.
23. 10. 2019|

Nový japonský císař Naruhito oficiálně usedl na trůn. Obřad sledovali státníci z celého světa

Nový japonský císař Naruhito byl slavnostně uveden na Chryzantémový trůn. Stal se tak 126. císařem nejstarší vládnoucí dynastie světa. Devětapadesátiletý panovník už letos v květnu převzal povinnosti od svého otce, který ze zdravotních důvodů abdikoval. Ceremoniálu se účastní na dva tisíce hostů včetně politiků ze 174 zemí. Česko zastupuje premiér Andrej Babiš (ANO).
22. 10. 2019Aktualizováno22. 10. 2019|

Japonsko se chce připojit k cestě amerických astronautů na Měsíc

Japonsko se hodlá připojit k americkému plánu návratu astronautů na Měsíc, Američanům nabídne technickou spolupráci na výstavbě orbitálního komplexu Gateway pro lunární misi. Ve čtvrtek o tom informovala agentura Kjódó s tím, že Tokio chce oficiálně informovat Spojené státy později v letošním roce.
17. 10. 2019|

Tajfun Hagibis se prohnal Japonskem a nechal za sebou desítky mrtvých

Nejméně 48 mrtvých, kolem stovky zraněných a 17 pohřešovaných za sebou zanechal ničivý tajfun Hagibis, který se přehnal přes největší japonský ostrov Honšú. Informovala o tom agentura Kjódó. Desetitisíce lidí jsou stále bez elektřiny a na šest milionů obyvatel v minulých dnech obdrželo evakuační výzvu. Živel už opustil japonské ostrovy.
13. 10. 2019Aktualizováno14. 10. 2019|

Kvůli tajfunu Hagibis se má evakuovat sedm milionů Japonců. Nejméně dva lidé zemřeli

Japonsko pustoší tajfun Hagibis, který je označován za nejsilnější v regionu v posledních šedesáti letech. Živel, který zasáhl ostrov Honšú včetně hlavního města Tokia, si doposud vyžádal nejméně dvě oběti. Oblast zároveň postihlo zemětřesení o síle 5,7 stupně. Sedm milionů lidí vyzvaly úřady k evakuaci. Bez dodávek elektrické energie je přes 270 tisíc domácností.
12. 10. 2019Aktualizováno12. 10. 2019|

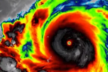
Tajfun Hagibis udeří na hustě obydlené části Japonska. Může být nejničivější za posledních 60 let

Japonsko se včetně hlavního města Tokia připravuje na sobotní příchod tajfunu Hagibis, který meteorologové přirovnávají k jedné z nejničivějších bouří za poslední desítky let. Kvůli tajfunu, jež odpovídá hurikánu páté kategorie, zrušily letecké společnosti spoje, linky pozastavili i provozovatelé rychlovlaků. Odloženy jsou i mezinárodní sportovní události.
11. 10. 2019Aktualizováno11. 10. 2019|
Doporučujeme

Ve Fukušimě dochází místo na radioaktivní vodu. Řešením může být její vypuštění do oceánu

Společnost TEPCO, která provozuje jadernou elektrárnu Fukušima zničenou tsunami, oznámila, že jí dochází prostory, kam by ukládala kontaminovanou vodu. Místo by jí mohlo dojít do tří let, což znamená pro japonskou vládu komplikace: musí urychleně přesvědčit občany, že výstavba nového zařízení je nutná.
12. 8. 2019Aktualizováno17. 8. 2019|
Načítání...