TÉMA

Šanghaj strana 5 z 5

Čína mění úvěrovou politiku, chce firmám snížit náklady na půjčky. Akcie prudce vzrostly

Čínské akciové trhy v pondělí zažily nejvýraznější růst za poslední dva měsíce, hlavní indexy přidaly více než dvě procenta. Investoři tak reagují na změny v určování základní úrokové sazby v Číně, které místní centrální banka oznámila o víkendu. Růstem začaly pondělí i evropské akcie, protože investoři doufají ve stimulační opatření i na starém kontinentu.
19. 8. 2019Aktualizováno19. 8. 2019|
Počasí

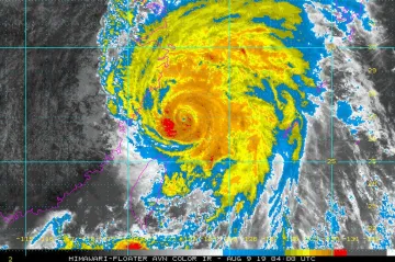
Čínu zasáhl nejsilnější tajfun za posledních pět let. Lekima má nejméně 18 obětí

Nejméně osmnáct lidí v sobotu zemřelo, když k pobřeží Číny dorazil tajfun Lekima. Dalších čtrnáct lidí se pohřešuje, uvedla s odvoláním na čínskou televizi agentura AP.  Lekima je sice už devátým tajfunem, který letos Čínu zasáhl, je ale nejsilnějším za posledních pět let.
10. 8. 2019Aktualizováno10. 8. 2019|

Tajfun Lekima má na Tchaj-wanu nejméně jednu oběť, míří na pevninskou Čínu

Severní části Tchaj-wanu zasáhl tajfun Lekima. Nejméně jednoho člověka zabil a další tři zranil, uvedla agentura Kjódó. Podle agentury DPA bouře zranila také čtyři lidi v japonské prefektuře Okinawa. Živel teď směřuje k čínské provincii Če-ťiang a k Šanghaji, kde má udeřit v sobotu v ranních hodinách místního času (v pátek večer SELČ). Čínský meteorologický ústav vyhlásil kvůli bouři nejvyšší stupeň výstrahy.
9. 8. 2019Aktualizováno9. 8. 2019|

Dvě běluhy z čínského akvária přiletěly na Island. Čeká je vypuštění do chráněné zátoky

Na Island byly letecky přepraveny dvě běluhy, které doposud bavily obecenstvo v obřím akváriu v Šanghaji. Dvanáctileté samice po letech chovu v zajetí najdou nový domov v přírodní rezervaci u islandských břehů, informoval zpravodajský server BBC News.
20. 6. 2019|

Pomoc proti bolesti, nebo hazard? Tradiční čínská medicína v Česku budí rozporuplné reakce

Centrum čínské medicíny v Hradci Králové končí. Mělo přitom být vlajkovou lodí východního lékařství v Česku. Čínská medicína dlouhodobě vyvolává rozporuplné reakce. Dva předchozí ministři zdravotnictví ji podporovali, naopak Česká lékařská komora byla vždy proti. Zákonodárci nedávno vyřadili terapeuty a specialisty čínské medicíny ze zákona o nelékařských pracovnících. Podle současného ministra Adama Vojtěcha (za ANO) by metody měly spadat pod připravovaný zákon o léčitelství.
11. 2. 2019|

Čína před rokem naklonovala makaky. Teď už jim geneticky vkládá duševní choroby

Přesně před rokem oznámili čínští vědci ze Šanghaje, že naklonovali opice makaky stejnou metodou, jakou použili v roce 1996 Britové u ovečky Dolly. Jednalo se o první naklonované primáty. Objev podle nich poslouží pouze lékařským účelům – a pokračují v něm ještě kontroverznějšími cestami.
24. 1. 2019|
Načítání...